Getting Started
All API requests require an authorization token – reference our Authentication page for more information
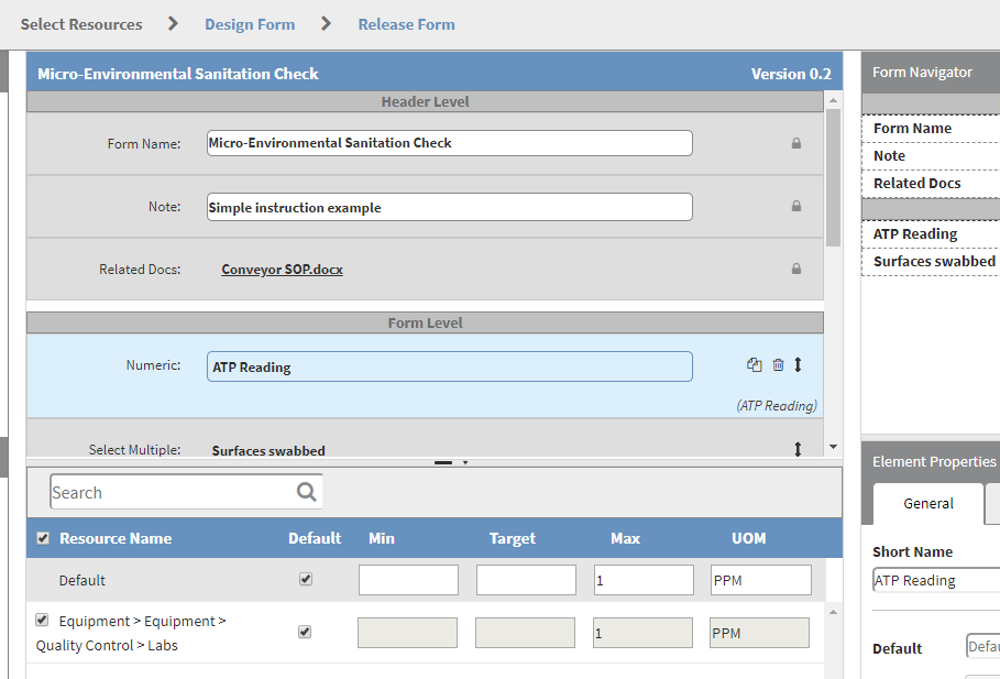
SafetyChain’s Form Compliance API calls have a one-to-one relationship with all of the compliance settings and fields available within the UI (shown below). Compliance per field can be set as a general default (recommended) or on a Resource by Resource basis.

After compliance has been defined, the following fields seen within other SafetyChain API responses, like GetFormCompliance, will reflect the compliance values vs null, respectively.
"IsCompliant": null,
"DefaultCompliance": null,